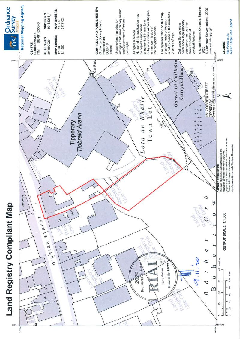
16 & 17, O'Brien Street, Tipperary Town, Co. Tipperary, E34CY99

  • Unconditional Online Auction Sale
  • AMV : €40,000

For sale by REA Stokes & Quirke Online Auction on 27th November 2020 Superbly located substantial 3 Storey Building on a large secure centrally located site Declared reserve €40,000

Location

The property is located at 16 & 17 O'Brien Street, Tipperary at Eircode E34CY99 with a For Auction sign there on

Description

REA Stokes and Quirke are delighted to offer for sale by online auction on the 27th November 2020, this substantial 3 storey building of circa 360 sq.m/3870 sq.ft on a development site of circa 240 sq.m/2580 sq.ft, centrally located in the heart of O'Brien Street, Tipperary Town. The main building has the benefit of a substantially complete new roof. The site has the benefit of vehicular access in off of O'Brien Street, with huge scope for redevelopment. It historically had planning permission granted for the construction of 2 shops and offices, planning reference: 06581692 and substantial off street parking for 11 cars. Reserve of €40,000.
Solicitor is Dylan Walsh in OSM, DWalsh@osmpartners.ie

Accommodation

Excellent prominent location on a very large secure site

TOTAL FLOOR AREA: 360.000 SQ MTRS / 3875.040000 SQ FT

Loading the bidding panel...

Terms & Conditions to bid on this Property

Office Contact

Mr John Stokes REA Stokes & Quirke 052 6121788 info@reastokesandquirke.ie
052 6121788

Vendors Solicitor

Dylan Walsh

Viewing

Strictly by Prior Appointment

Make an Enquiry

Submit an enquiry and someone will be in contact shortly.

 
*  
*  
*
*
*

Share